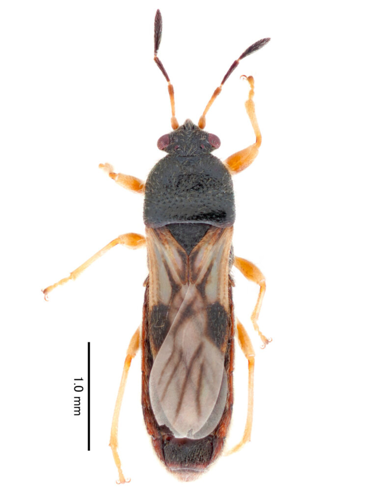
ヤクコバネナガカメムシ Ischnodemus yakuensis (Hidaka, 1959)

ヤクコバネナガカメムシ Ischnodemus yakuensis(カメムシ目:コバネナガカメムシ科)

標本データ

沖縄県八重山郡竹富町古見,2021年8月28日,久末遊採集

Ryukyus, Okinawa Pref., Yaeyama-gun, Taketomi-cho, Iriomote Isl., Komi, 28 Aug. 2021, Yu HISASUE leg.

文献

久末 遊,2021.ヤクコバネナガカメムシを西表島で採集.Pulex, (100): 899–900.[PDF]